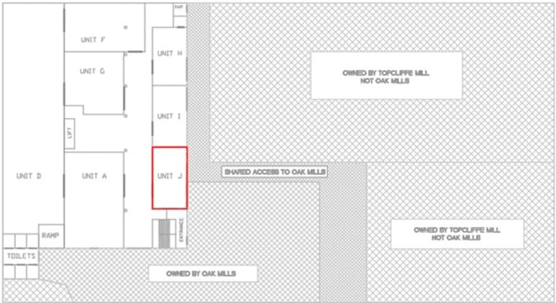
Unit J

4.5m x 7m
  • Specifications
  • Reviews

No specifications has been set for this product. Please contact us for further details.

Our Reviews!
Steve Denton
Great company, thank you so much!
Jo Beecham
We will recommend you to everyone we know
Our Prices!
Our Price: From £950.00
Contact Us
Back To Units
Product Description

UNIT J: OUTSIDE UNIT ALLEY



Industrial & Commercial Units to Let - Oak Mills, Morley, Leeds

Looking for industrial units, workshops, offices, or commercial premises to rent in Morley, Leeds? Oak Mills offers secure, flexible, and modern units in a historic mill building, ideal for manufacturers, storage, and light industrial businesses. Our units feature excellent security, communal lifting equipment, and 24-hour access, making them some of the best industrial spaces in South Leeds.

Available Units - Unit J - Industrial Unit

- Rent: £575 PCM (+ VAT)

- Deposit: 1 Months' rent

- Eligible for Free business rates: We will help complete your paperwork

Size: approx 4.5m x 7m (31.5m2)

About This Unit: This unit is in the heart of South Leeds, Unit J offers versatile ground-floor space within a characterful mill. With direct access from the yard via a shutter entrance, the unit is ideal for businesses that require easy loading, unloading, and day-to-day access.

The unit is supported by excellent on-site facilities, including shared toilet amenities and access to forklift and pallet trucks for handling heavier goods and equipment. Tenants also benefit from 24-hour yard access, allowing maximum flexibility for operations that run outside of standard working hours.

Conveniently positioned near Morley town centre, the site has strong local transport links and is only a short drive from the M62 motorway, making regional connections simple and efficient. Compact yet practical, Unit J provides an excellent opportunity for workshops, storage, or light industrial use in a well-connected South Leeds location.


Location: Ground Floor, Oak Mills, Texas Street, Morley, Leeds, LS27 0HL

Access: Either outside from the main alleyway or from inside the main building shutter

Power: Single phase - Metered supply / Three phase - Metered supply


Features:

- Shutter access directly from the yard for easy loading/unloading

- Shared, private, secure yard with CCTV

- Customisation of units permitted by landlord on request.

- Private metred electricity supply

- Water rates included

- Owner-monitored alarm system

- Communal forklift & pallet truck access

- Running water, sink, and electricity supply

- Onsite toilets and shared facilities

- 24-hour secure access for tenants

- Not suitable for car repairs, mechanics, or valeting due to access (See Plan)

- Lease term: Negotiable - 3 months minimum

- Class: Industrial B1, B2, B8


Enquire / Book a Viewing for this workshop for rent


Oak Mills - Key Benefits

  • Flexible industrial and commercial units to let in Morley, Leeds
  • Secure site with CCTV, monitored alarms, and covered yard
  • Communal forklift & pallet truck access for heavy goods
  • Onsite office open 8am - 4pm for accepting parcels and deliveries
  • 24-hour access to units for tenants
  • Excellent location near Leeds, Wakefield, and the M62
  • Water, sink, and lone toilet facilities included
  • Perfect for manufacturing, workshops, storage, or light industrial use



SEO Meta Description

Industrial units, workshops, offices, and business premises to let in Morley, Leeds. Secure units with CCTV, alarm system, forklift access, covered yard, water, toilets & 24-hour access. Book a viewing today!

For any enquiries or questions, do not hesitate to contact us!

Oak Mills, Unit 8, Oak Mills, Texas Street (off Topcliffe Lane), Morely, Leeds, LS270HG

Tel. 07738 607466

Email. info@better-bounce.co.uk

Join Our Newsletter!
SHOPPING CART

Loading cart...